|
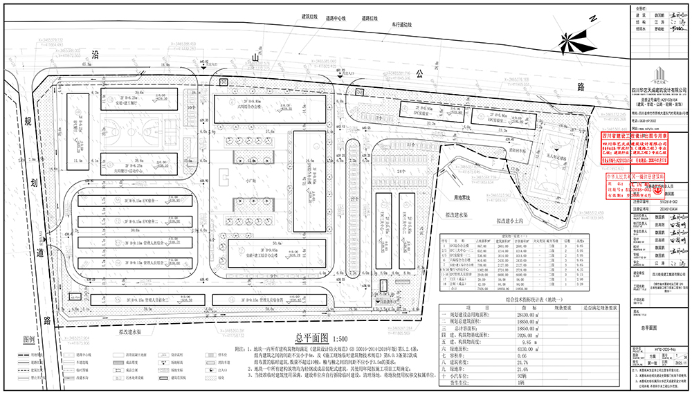
绵竹市自然资源和规划局关于对《四川能投建工集团有限公司绵竹抽水蓄能电站工程EPC总承包辅助工程下库施工营地项目(地块一)》建筑设计方案的批前公示
作者:
来源:绵竹市融媒体中心
日期:2026-01-07
依据《中华人民共和国城乡规划法》《四川省城乡规划条例》和四川省自然资源厅办公室《关于进一步加强和规范规划许可和核实工作的通知》(川自然资办函〔2024〕129号)规定,现将以下建设工程设计方案的总平面图予以批前公示。如有意见和建议,请在2026年1月7日至2026年1月15日内以书面形式提交至绵竹市自然资源和规划局办公室。联系电话:0838-6903824 附件:《四川能投建工集团有限公司绵竹抽水蓄能电站工程EPC总承包辅助工程下库施工营地项目(地块一)》总平面图
绵竹市自然资源和规划局 2026年1月7日
|
